adams County, iowa 853.28 +/- Acres – sold
PROPERTY DOCUMENTS
PROPERTY DESCRIPTION
Iowa Land Company is honored to present the Phyllis Ann Steadman Trust Farm located in central Adams County, Iowa. The farm will consist of an eight-tract offering at a live public auction on October 15th, 2024 at 1:00 PM at the Corning Opera House in Corning, Iowa. Most of the farm is located just 5 miles south of Corning and has a well-maintained open pasture/grass farm located just northeast of Lake Icaria watershed region.
Tract 1 consists of 114.83 +/- acres situated in Section 28 of Jasper Township boasting a CSR2 rating of 81
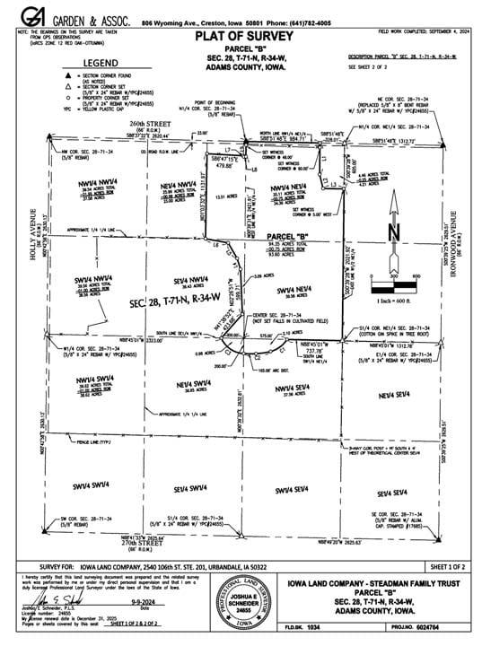
Tract 2 consists of 93.6 +/- acres which is conjoining tract 1 to the south; this farm carries a CSR2 rating of 76.2. Located in Section 28 of Jasper Township.
Tract 3 is a nice inside 90.42 +/- acres containing 85.38 +/- cropland acres carrying a CSR2 of 57.8. Located in Section 21 of Jasper Township. A $3,500 credit will be provided to buyer from seller at closing for a crossing the be installed to access the southwestern crop field.
Tract 4 is currently in a hay production program totaling 139.66 +/- acres containing 85 +/- cropland acres and carrying a CSR2 rating of 61.1 on the non-grass acreage. Located in Section 28 of Jasper Township. Some improvements are presented for cattle sorting on the northeast corner.
Tract 5 presents some opportunity to improve if one desires totaling 134.66 +/- acres containing 118.94 +/- cropland acres and carrying a CSR2 rating of 58.1. Located in Section 21 of Jasper Township.
Tract 6 is a nice grass farm with a pond and some additional cropland acres totaling 44.02 +/- acres currently the FSA shows 20.56 +/- cropland. Located in Section 21 of Jasper Township.
Tract 7 is an expansive grass farm with multiple water sources totaling 234 +/- acres. The main pond is roughly 5 acres. Located in Section 32 of Carl Township and the south portion is within Section 5 of Prescott Township.
Tract 8 will consist of the main home place located at 1872 260th Street Corning, IA with 4.21 +/- acres included. This is on the south side of 260th Street. Property to be sold “As is where is” with a septic credit at closing. * See attached Home/Building Report. *The property will transfer with a $15,000 septic credit at closing. Buyer will sign a future installation agreement at closing and be approved by the county.
- 2 Bed 2 ⅔ Bath, Nice Large Living Room, Kitchen Appliances, Master Bed, Wide Open Basement for additional possibilities.
- 2 Car detached garage, Oversized steel garage, additional outbuildings, and grain bins.
- Open house be be held 9/28 and 10/12 from 1-3 PM to view the acreage.
What a great opportunity for local farmers to expand their current farming operation and give investors the ability to purchase quality farmland acres in prime central Adams County where quality farmland does not come available to the public often!
Grain selling opportunities are offered in town at the Poet Ethanol plant along with other surrounding towns. The farm is leased for the 2024 farm season, the farm will be an open lease for the 2025 crop year. Opportunities like this are not offered often in southwestern Iowa… Here is your chance to buy a large tract of land right in the middle of farm country! We look forward to seeing you on sale day!
Call Land Broker/ Auctioneer Luke Skinner at 515-468-3610 or Land Broker Matt Skinner at 515-443-5004 for more information on this diverse Adams County Land Auction.
Farm Information
*Please note all FSA farm information is subject to change.
Tract 1
- 114.83 +/- Acres
- 114 +/- Cropland Acres
- 81 CSR2
- Outstanding improved farmland
- Tile and Terraced
Tract 2
- 93.6 +/- Acres
- 89 +/- Cropland Acres
- 76.2 CSR2
- Highly productive farm with improvements
- Tile and Terraced
Tract 3
- 90.42 +/- Acres
- 85.38 +/- Cropland Acres
- 57.8 CSR2
- Nice natural drainage open fields
Tract 4
- 139.66 +/- Acres
- 85 +/- Cropland Acres
- 61.1 CSR2
- Currently mix-use farmland
Tract 5
- 134.66 +/- Acres
- 118.94 +/- Cropland Acres
- 58.1 CSR2
- Nice mix uses farm with some potential to improve
Tract 6
- 44.02 +/- Acres
- 20.56 +/- Cropland Acres
- 57.1 CSR2
- Cattle farm with water source
Tract 7
- 234 +/- Acres
- NA +/- Cropland Acres
- Expansive grass farm with interior fencing
- Multiple ponds
Tract 8
- 4.21 +/- Acres
Base Acres
Corn – TBD
Soybeans – TDB
PLC Yield
138 – Corn
40 – Soybeans
Auction Date: October 15th, 2024
Auction Time: 1:00 PM
Auction Location: Corning Opera House
Auction Address: 800 Davis Avenue Corning, IA 50841
Sale Method: The farm will be sold at live public auction with online and phone bidding opportunities for all buyers. Tracts 1-3 will be sold via “buyers’ choice” method. Tracts 4-8 will be sold as individual tracts.
Farm Lease: The farm is currently leased for 2024. Open lease 2025 full possession March 1st, 2025. Current tenant will have the right to hold grain in grain bins into fiscal year 2025.
Survey: Will be provided final multiplier to be based on surveyed acres.
Open House: Open house will be held on 9/28 and 10/12 from 1-3 PM to view the acreage and outbuildings.
Purchase Agreement: Immediately upon conclusion of the auction, the high bidder will enter into a real estate sales contract and deposit with the seller’s attorney the required earnest money payment. The Seller will provide a current abstract at their expense. Sale is not contingent upon Buyer obtaining financing.
Earnest Money: 10% earnest money payment is required on the day of the auction. All funds will be held in the sellers’ attorney trust account. Remaining balance will be due at closing.
Farm Possession: Buyer will receive real estate possession at closing.
Farm Closing: November 20th and November 21, 2024.
FSA Information: Call Land Broker/Auctioneer Luke Skinner or Land Broker Matt Skinner for any FSA information questions prior to the auction. Note- all FSA information is estimated to the best of the seller and Iowa Land Company’s ability. All information is subject to change. The farm will be subject to a new FSA conservation plan.
Mineral Rights: All mineral rights will be conveyed to the buyer if any.
Bidder Registration: All active bidders must be registered prior to bidding on the farm. All bidders must have a bid card to bid on the farm. Call Land Broker Luke Skinner or Land Broker Matt Skinner prior to the sale if you are unable to attend the sale but have an interest in the farm. We do have online bidding available or phone bidding.
Terms and Conditions: This sale is subject to all easements, covenants, restrictions of record, and leases. Each Bidder is responsible for conducting, at their own risk, their own inspections, inquiries, and due diligence concerning the property. All property is sold “AS IS-WHERE IS” basis with no warranties or guarantees, either expressed or implied by the Seller or Iowa Land Company.
Announcements: Information provided herein was obtained from sources deemed reliable, but neither Iowa Land Company nor the Seller makes any guarantees or warranties as to its accuracy. All potential bidders are urged to inspect the property, it’s condition, and to rely on their own conclusions. All sketches, dimensions, and acreage figures are approximate or “more or less”. Any announcements made on auction day by Iowa Land Company will take precedence over any previously printed materials or oral statements. Iowa Land Company and Seller reserve the right to preclude any person from bidding if there are any questions as to the person’s credentials or fitness to bid.
Brief Legal Description
855.1 +/- acres located in Adams County, Iowa Jasper, Carol, Prescott Township, Section 21/28/32/5. Exact legal description will come from the deed/farm abstracts.
Taxes:
T1 – $3,515 +/- Annually Estimated. Taxes to be prorated on the date of closing.
T2 – $2,471 +/- Annually Estimated. Taxes to be prorated on the date of closing.
T3 – $1,850 +/- Annually Estimated. Taxes to be prorated on the date of closing.
T4 – $2,894 +/- Annually Estimated. Taxes to be prorated on the date of closing.
T5 – $2,918 +/- Annually Estimated. Taxes to be prorated on the date of closing.
T6 – $934 +/- Annually Estimated. Taxes to be prorated on the date of closing.
T7 – $3144 +/- Annually Estimated. Taxes to be prorated on the date of closing.
T8 – $2,650 +/- Annually Estimated. Taxes to be prorated on the date of closing.
From Corning head south on 148 HWY for 4 miles then go west on 260th St for 1 1/4th mile. Farms sit on both the south and north sides of 260th. The home address is 1872 260th St Corning, IA 50841.
Tract 7 – Head north on 148 HWY until you hit 150th St. Go east for 4 miles until you hit the corner of Corning Carl Rd head south for ¼ miles. The farm runs along the east side of Corning Carol Rd. Signs will be present.
PROPERTY AERIAL
LAND AGENT
RECENT BLOG POSTS
No feed items found.









